조황관리HOME / 조황관리 / 상세정보

제목 : 속초보스호 1/18(일) 가자미 다잡아조황...가자미를 쓸어담아..
등록일 : 2026-01-18

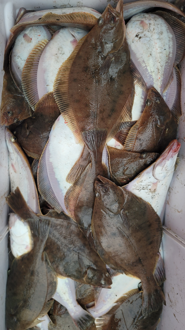
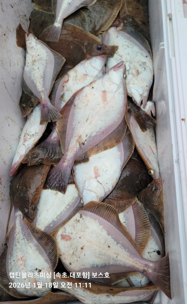
가자미 고까이꺼...뭐 ^^~ 싸이즈도 대박
광어인줄...웬만한 광어수준 입니다~~
기본 1타에 6~7마리 연을 날리시고
6.25때 난리는 난리도 아니네요
그냥 쓸어 담아서 왔습니다요 ^^
두세시간 만에 갈치 대장쿨러 체워들 가시고

안녕하세요
속초 대포항 캡틴블리츠피싱
속초보스호 이홍록입니다.
25년 1월 18일 일요일
가자미 다잡아 조황보고 드립니다.
#속초대포항 #캡틴블리츠피싱 #보스호 #캡틴호
출조문의 : 010 6397 5678
대(왕)문어/대구지깅.라바/팁런/락피쉬(광어)/가자미

20260118_101111.jpg

20260118_095811.jpg

20260118_095537.jpg

20260118_095454.jpg

20260118_103651.jpg

20260118_101047.jpg

20260118_103311.jpg

20260118_100737.jpg

20260118_103229.jpg

20260118_100734.jpg

20260118_095435.jpg

20260118_094101.jpg

20260118_111129.jpg

20260118_111125.jpg

20260118_111112.jpg

20260118_110121.jpg

20260118_105027.jpg

20260118_104225.jpg

거기에....고등어.청어 폭탄에....

금어기에...대구  폭탄까지...
추운날씨에 쓸어 담는다고 수고들 많이
하셨습니다.
20260118_123143.jpg

20260118_130928.jpg

대구금어기 시작 1월 16부터~ 1월 31일 16일간

황열기.가자미.아까모찌.임연수어 다잡아 진행하고
26년 2월 1일(일)부터 대(왕)문어 시즌 시작
시즌초반 묵혀 두었던 크라켄 한방 기대해 봅니다.


*** 속초 보스호 예약 안내 *** 

예약문의 : 010-6397-5678 

오시는길 : 강원도 속초시 대포항희망길 20
                 (어구보수 보수장 11번 보스호)

홈페이지 : https://bossho.sunsang24.com/


모바일.jpg

Top