조황관리HOME / 조황관리 / 상세정보

제목 : 속초보스호 1/25(일) 가자미조황...가자미 풍년에 대문어까지
등록일 : 2026-01-25

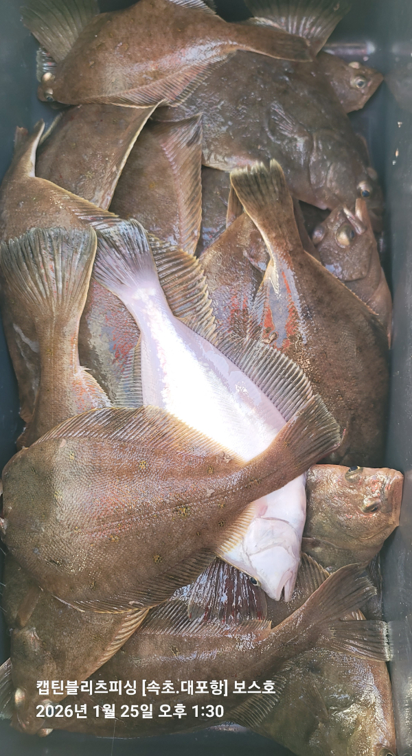
가자미  고까이꺼...뭐.... ㅎ~
광어인지...!! 가자미인지.. 헷갈리네요^^:;
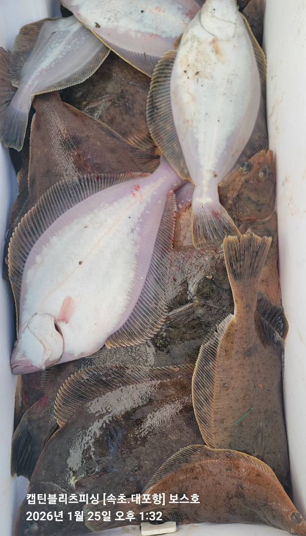
마릿수도...싸이즈도....아주..좋아요
속초대포항 앞바다 50m~60m권에
가자미풍년 가자미가 여전히 줄을타고~~
귀한 손님으로 피문어들이....
 

안녕하세요
속초 대포항 캡틴블리츠피싱 보스호
속초보스호 이홍록입니다.
25년 1월 25일 일요일
가자미조황보고 드립니다.
#속초대포항 #캡틴블리츠피싱 #보스호 #캡틴호
출조문의 : 010 6397 5678
대(왕)문어/대구지깅.라바/팁런/락피쉬(광어)/가자미
20260125_094453.jpg

20260125_101532.jpg

20260125_101806.jpg

20260125_102314.jpg

20260125_103328(0).jpg

20260125_105508.jpg

20260125_105658.jpg

20260125_110054.jpg

20260125_111024.jpg

20260125_111203.jpg

20260125_105959.jpg
잠깐 황열기 포인트 탐색중...

손님으로 가자미바늘에 안떨어지고
쓸만한 대문어가...대박입니다요 ^^
20260125_135832.jpg

20260125_122639.jpg

20260125_133003.jpg

20260125_133145.jpg

20260125_133052.jpg

20260125_133228.jpg

20260125_133334.jpg

20260125_134007.jpg

20260125_134032.jpg
 *** 속초 보스호 예약 안내 *** 

예약문의 : 010-6397-5678 

오시는길 : 강원도 속초시 대포항희망길 20
                 (어구보수 보수장 11번 보스호)

홈페이지 : https://bossho.sunsang24.com/


모바일.jpg

Top