조황관리HOME / 조황관리 / 상세정보

제목 : 속초보스호 1/31(토) 가자미.황열기 다잡아조황...연날리기
등록일 : 2026-01-31

가자미....뭐...고까이꺼 ~~^^~
오늘도 줄을테워 연을 날려 볼까합니다 ^^
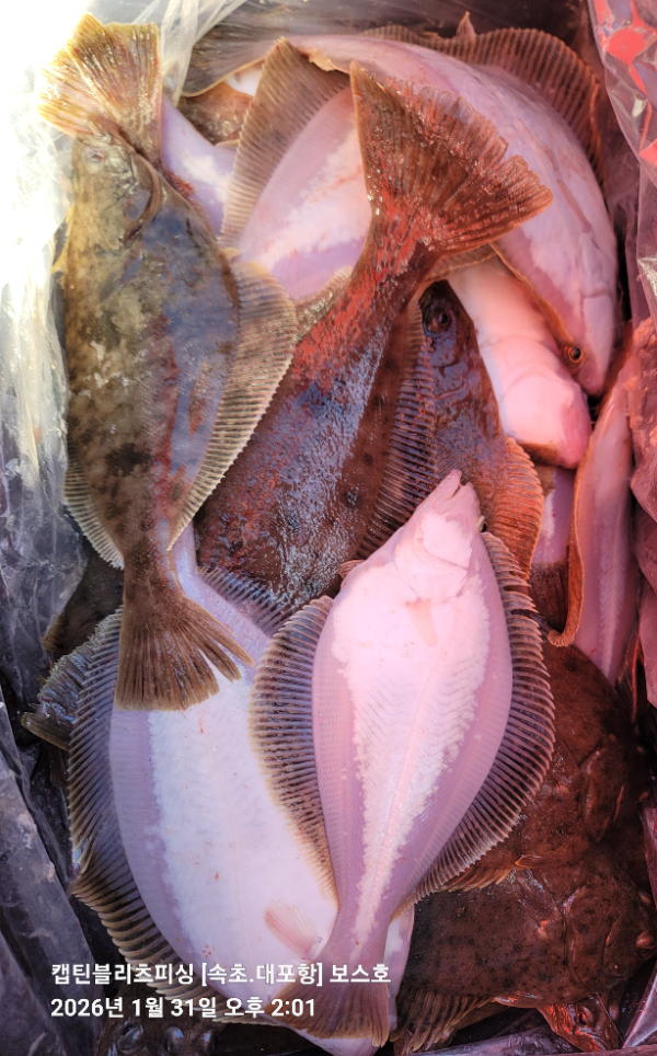
여전히 가자미풍년 입니다요
쿨러를  체워 보겠습니다 ~~^^
임연수어도 줄을 타는데 아직 크기가 작네요
오늘도 카드채비에 귀하신 손님으로 문어들이..

가자미.황열기 다잡아 조황이 좋아 아쉬지만..ㅠㅠ
오늘부로 졸업하고 내일(2월1일 일요일)부터는
대(왕)문어지깅 시즌 시작합니다.
 

안녕하세요
속초 대포항 캡틴블리츠피싱 보스호
속초보스호 이홍록입니다.
25년 1월 31일 토요일
가자미조황보고 드립니다.
#속초대포항 #캡틴블리츠피싱 #보스호 #캡틴호
출조문의 : 010 6397 5678
대(왕)문어/대구지깅.라바/팁런/락피쉬(광어)/가자미
20260131_073345.jpg

20260131_073344.jpg

20260131_073331.jpg

20260131_073325.jpg

20260131_073129.jpg

20260131_134326.jpg

20260131_131641.jpg

20260131_131516.jpg

20260131_114039.jpg

20260131_113430.jpg

20260131_112949.jpg

20260131_095119.jpg

20260131_093351.jpg

20260131_092842.jpg

20260131_073705.jpg

20260131_121104.jpg

20260131_101928.jpg

20260131_140147.jpg

20260131_140043.jpg

20260131_135735.jpg

출조하신 분들 추운날씨에 수고들 하셨습니다.

대구금어기 시작 1월 16부터 1월 31일 16일간
황열기.가자미.아까모찌(금테)...등 다잡아 진행하고
26년 2월 1일(일)부터 대(왕)문어 시즌 시작
가자미바늘에 문어가 올라오는걸 보면 좀 나올듯
한동안 묶혀두었던 곳에서
시즌 초반 크라켄 한방도 기대해 봅니다.


*** 속초 보스호 예약 안내 *** 

예약문의 : 010-6397-5678 

오시는길 : 강원도 속초시 대포항희망길 20
                 (어구보수 보수장 11번 보스호)

홈페이지 : https://bossho.sunsang24.com/


모바일.jpg

Top